ir al contenido

Al menos 200 barrios y colonias de la capital están en riesgo por huracán Iota

Tegucigalpa. El portavoz del Cuerpo de Bomberos de Honduras, Óscar Triminio, manifestó que unos 200 barrios y colonias de la capital se encuentran en riesgo por el paso inminente del huracán Iota.

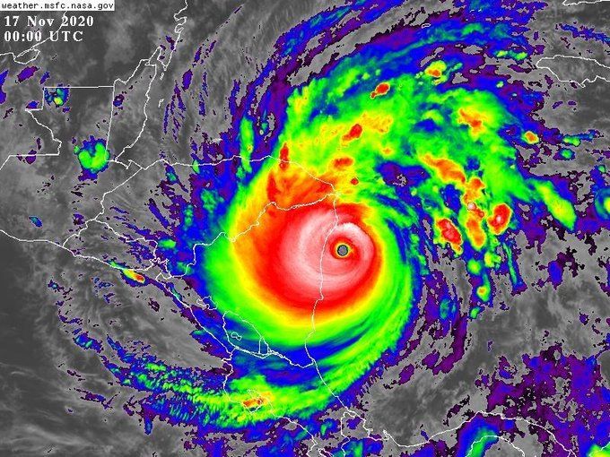
En ese sentido, el ciclón ingresaría al país el día de mañana martes, ya convertido en tormenta tropical porque se debilitaría en su paso por el hermano país de Nicaragua. Pese a ello, los vientos y lluvias ya son intensos en varias zonas del país, principalmente en el departamento de Yoro, Colón, Olancho y Gracias a Dios.

“El efecto el huracán lo esperamos el día miércoles en el Distrito Central, el toca tierra hoy en la noche en Nicaragua y cruzar este país de este a oeste le va llevar 24 horas, aquí no estaría entrando el día miércoles por la mañana y va a cruzar todo el territorio el miércoles y jueves”, explicó.

En cuanto al riesgo por derrumbes y deslaves, Triminio agregó que “tenemos unos 200 barrios y colonias en situación de riesgo, principalmente en la zonas altas de Comayagüela y Tegucigalpa”.

“Tenemos zonas inundables, estas son las que están en todos los cauces de los 19 ríos y quebradas que cruzan el Distrito Central, tenemos el río Choluteca, el río San José, río Chiquito, que son los que causan problemas en esta temporada”, detalló.

“También se presentan problemas en la quebrada La Orejona, quebrada El Sapo, La Mololoa, El Cacao, a Grande del Norte, Grande del Sur, estas quebradas por tradición han causado problemas”, recordó.

En ese sentido, mencionó que “estas son las zonas que se requiere que comienzan a evacuar voluntariamente y dependiendo como vaya a ser el efecto de este fenómeno, las evacuaciones ya serían obligatorias”.

Complica situación por saturación de suelos

El portavoz advirtió que la situación se complica debido a la saturación de lo suelos por las lluvias que originó la pasada tormenta tropical Eta.

“Venimos de una temporada lluviosa fuerte, esto ha permitido que tengamos suelos saturados y ríos crecidos, entonces no se necesita mucha lluvia para que empecemos experimentar los primeros problemas”, aseguró.

“Cuanto tenemos un pronóstico adverso, como el paso de una tormenta tropical, es seguro que vayamos a tener incidencias”, agregó.

Reiteró que “lo importante en este momento es evacuar, las personas que saben que están en zonas de riesgo tienen que hacerlo inmediatamente”.

Además recomendó “informarse a través de las cuentas oficiales de las instituciones encargadas, somos los que estamos con el monitoreo y los que estamos informado y cruzando la información que le podemos dar a la población”.

“Lo otro es no entrar en alarma, estar alerta y ser obedientes al momento de recibir órdenes de evacuación”, concluyó.

Más reciente